Dutch Racing Dog Thunderstruck "Atex"
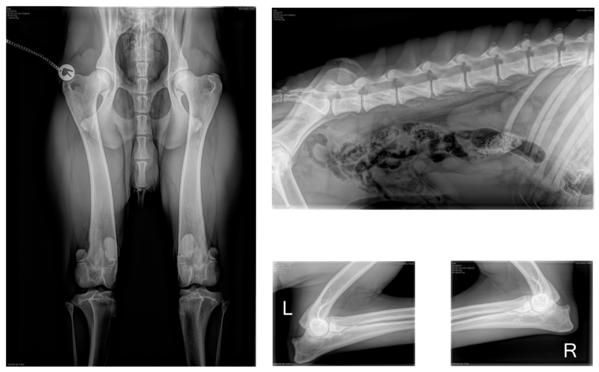
1 march 2020 * 74 cm * 32 kg * Pedigree * HD/ED/Back * DNA & Heart tests * Race Results
Click here for some good (in my eyes) information about Canine Hip Dysplasia
HD A * Elbows 0/0 * Clear back * Spine L1 - L7 clear * knees checked => no PL, his knees are rock solid

